Connect

Find us on...

Dashboard

Marjorie Dick Stuart

  • Cell 240-731-8079
Questions?

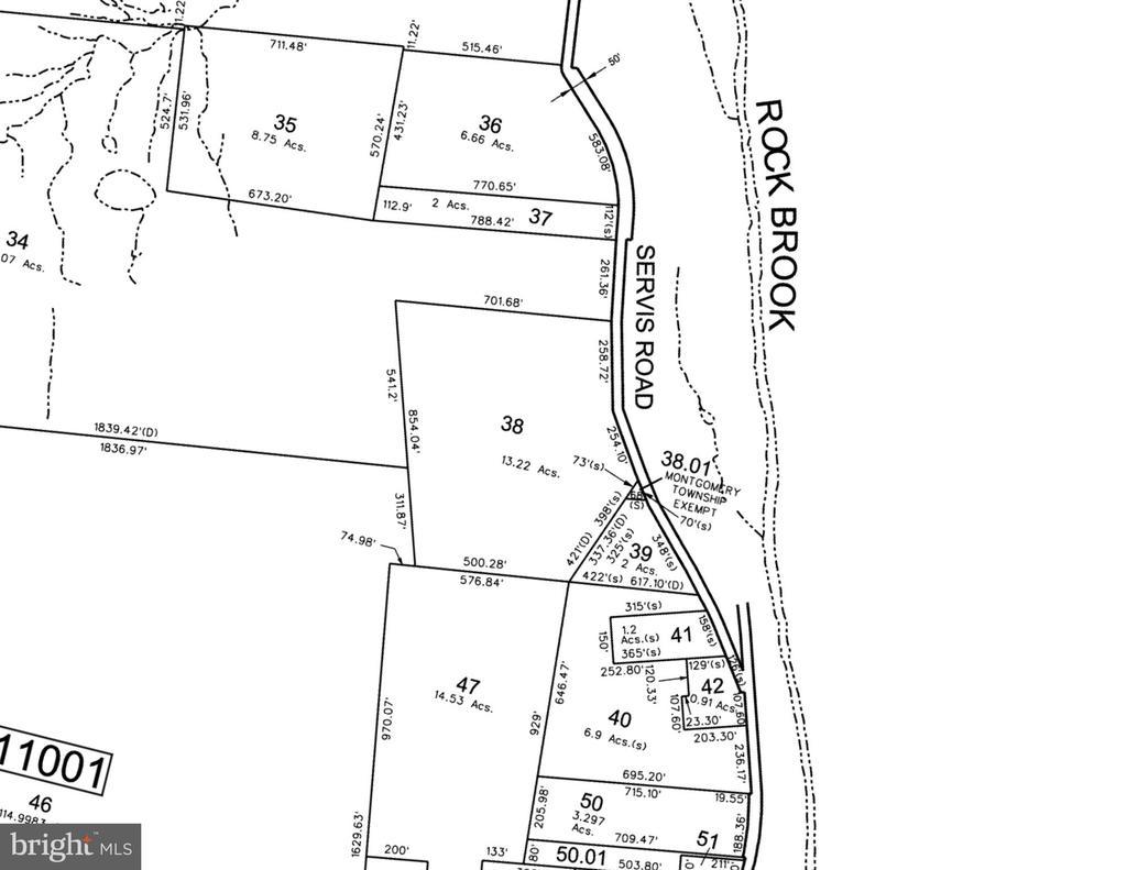
34 Servis Rd, SKILLMAN, NJ – $499,000

  • $499k Price
  • 56 DOM
  • $499k Price
  • 56 DOM

34 Servis Rd

Discover an exceptional opportunity with this expansive 13.22-acre parcel located in the heart of Montgomery Township. Set along Servis Road, just off Hollow Road, this property offers a unique balance of privacy, natural beauty, and accessibility. Entirely wooded, the tract provides a serene environment with mature trees, natural buffers, and stream corridors, making it a rare find in today’s market. The land is zoned MR, allowing for the creation of a custom home or other permitted uses under current township regulations. Buyers are encouraged to confirm zoning requirements and explore development feasibility with Montgomery Township to ensure alignment with their vision. With 13.22 acres of raw land, the property offers flexibility in design, whether you imagine a retreat-like estate surrounded by nature, a residence with generous outdoor living areas, or other approved uses that benefit from the scale of the lot. Environmental and topographical considerations include mapped stream corridors, slope buffers, and natural features that contribute both to the property’s charm and its development planning. Maps highlighting these factors are available for review. Importantly, the property is designated in FEMA Zone X, meaning it lies outside the 100-year and 500-year floodplains. While no utilities currently serve the property, its location just 9 miles from Princeton ensures convenience to major commuting routes, including Routes 206 and 518, as well as access to shopping, dining, and Montgomery Township schools. The setting offers a unique opportunity to enjoy peace and seclusion without sacrificing proximity to local amenities. With its scale, location, and natural beauty, this parcel presents an ideal foundation for a one-of-a-kind project. Few properties of this size remain available in Montgomery Township, making it an offering worth serious consideration. Schedule a time to walk the land and experience firsthand the possibilities this remarkable tract provides.

Essential Information

  • MLS® #NJSO2004900
  • Price$499,000
  • Bathrooms0.00
  • Acres0.00
  • TypeLand
  • Sub-TypeLand
  • StatusActive

Community Information

  • Address34 Servis Rd
  • AreaMontgomery Twp (21813)
  • CitySKILLMAN
  • CountySOMERSET-NJ
  • StateNJ
  • MunicipalityMONTGOMERY TWP
  • Zip Code08558

Amenities

Utilities

Cable TV Available, Electric Available, Phone Available

Interior

  • Has BasementYes

School Information

  • DistrictMontgomery Twp

Additional Information

  • Date ListedSeptember 16th, 2025
  • Days on Market56
  • ZoningSINGLE FAMILY

Listing Details

  • OfficeQueenston Realty, LLC
  • Office Contact(609) 924-5353
Please provide a valid email address.

Price Change History for 34 Servis Rd, SKILLMAN, NJ (MLS® #NJSO2004900)

Date Details Price Change
Price Reduced (from $575,000) $499,000 $76,000 (13.22%)

© 2020 BRIGHT, All Rights Reserved. Information deemed reliable but not guaranteed. The data relating to real estate for sale on this website appears in part through the BRIGHT Internet Data Exchange program, a voluntary cooperative exchange of property listing data between licensed real estate brokerage firms in which Coldwell Banker Residential Realty participates, and is provided by BRIGHT through a licensing agreement. Real estate listings held by brokerage firms other than Coldwell Banker Residential Realty are marked with the IDX logo and detailed information about each listing includes the name of the listing broker.The information provided by this website is for the personal, non-commercial use of consumers and may not be used for any purpose other than to identify prospective properties consumers may be interested in purchasing. Some properties which appear for sale on this website may no longer be available because they are under contract, have Closed or are no longer being offered for sale. Some real estate firms do not participate in IDX and their listings do not appear on this website. Some properties listed with participating firms do not appear on this website at the request of the seller.

Listing information last updated on November 10th, 2025 at 10:03am CST.