Connect

Find us on...

Dashboard

Marjorie Dick Stuart

  • Cell 240-731-8079
Questions?

31 Oak St, SALEM, NJ – $280,000

  • $280k Price
  • 6,325 Sqft
  • .52 Acres
  • 1208 DOM
  • $280k Price
  • 6,325 Sqft
  • .52 Acres
  • 1208 DOM

31 Oak St

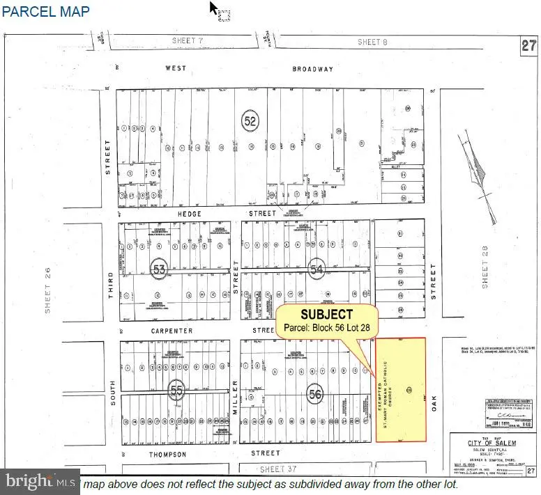
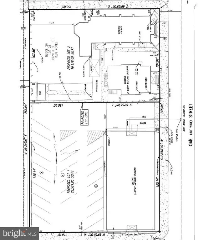
The building is a two story brick school facility. It consists of 11 rooms, 4 restrooms, office and boiler room. Currently, the subject site has 38,700 SF of land area. The owner will submit for approval of a subdivision once a buyer is obtained. Subsequent to the proposed subdivision, the new subject parcel would include only the school and parking lot (22,521 SF). Seller requests limited shared use of parking on Sundays and certain special days. Subject is located in Flood Zone X an area that is determined to be outside the 100 and 500 year floodplains. Property Type Special Purpose Design; Single-Tenant; Owner-Occupied; Number of Buildings 1; Number of Stories 2; Net Rentable Area (NRA) 6,325 SF; Gross Building Area (GBA) 6,325 SF; Floor Plate 3,163 SF; Site Coverage Ratio 14.0%; Land to Building Ratio 3.6:1; Parking 24 (Surface) 3.8/1,000 SF NRA; Year Built 1952; Quality Average; Condition Average; Basic Construction Concrete block; Foundation Poured concrete slab; Framing Concrete Block; Exterior Walls Brick; Roof slight pitch tar and gravel; Insulation Assumed to be standard and to code for both walls and ceilings; Heating Gas fired boiler with radiant heat system; Air Conditioning Window units; Lighting Fluorescent and Incandescent; Interior Walls Drywall/ concrete block; Electrical commercial phases; Ceilings Acoustical tile and drywall; Windows Glass in aluminum frames; Doors Metal doors with glass in metal frame. Subject is presently tax exempt. The current tax value for all buildings on the site is as follows: Exempt Total Asmt: $377,500; Total Land Asmt: $177,600; Total Bldg. Asmt: $199,900; Total Asmt: $377,500; Exempt Land Asmt: $177,600. Assuming a buyer would use the property for some non-tax exempt purpose and the post subdivision total assessment would be $200,000 the estimated real estate tax would be $14,138.

Essential Information

  • MLS® #NJSA141818
  • Price$280,000
  • Bathrooms0.00
  • Square Footage6,325
  • Acres0.52
  • Year Built1952
  • TypeCommercial Sale
  • Sub-TypeSpecial Purpose
  • StatusActive

Community Information

  • Address31 Oak St
  • AreaSalem City
  • CitySALEM
  • CountySALEM-NJ
  • StateNJ
  • MunicipalitySALEM CITY
  • Zip Code08079

Amenities

  • ViewStreet

Utilities

Above Ground, Cable TV, Electric Available, Phone Available, Sewer Available, Water Available

Parking

Paved Parking, Private, Surface, Unassigned

Interior

  • HeatingRadiant
  • CoolingWindow Unit(s)

Exterior

  • ExteriorOther
  • Lot DescriptionCleared, Level, Other
  • RoofOther
  • ConstructionOther
  • FoundationSlab

Additional Information

  • Date ListedMay 6th, 2021
  • Days on Market1208
  • ZoningR-1

Listing Details

  • Office Contact(856) 343-6000

Office

BHHS Fox & Roach-Mullica Hill South

Please provide a valid email address.

© 2020 BRIGHT, All Rights Reserved. Information deemed reliable but not guaranteed. The data relating to real estate for sale on this website appears in part through the BRIGHT Internet Data Exchange program, a voluntary cooperative exchange of property listing data between licensed real estate brokerage firms in which Coldwell Banker Residential Realty participates, and is provided by BRIGHT through a licensing agreement. Real estate listings held by brokerage firms other than Coldwell Banker Residential Realty are marked with the IDX logo and detailed information about each listing includes the name of the listing broker.The information provided by this website is for the personal, non-commercial use of consumers and may not be used for any purpose other than to identify prospective properties consumers may be interested in purchasing. Some properties which appear for sale on this website may no longer be available because they are under contract, have Closed or are no longer being offered for sale. Some real estate firms do not participate in IDX and their listings do not appear on this website. Some properties listed with participating firms do not appear on this website at the request of the seller.

Listing information last updated on November 16th, 2025 at 7:56am CST.