Connect

Find us on...

Dashboard

Marjorie Dick Stuart

  • Cell 240-731-8079
Questions?

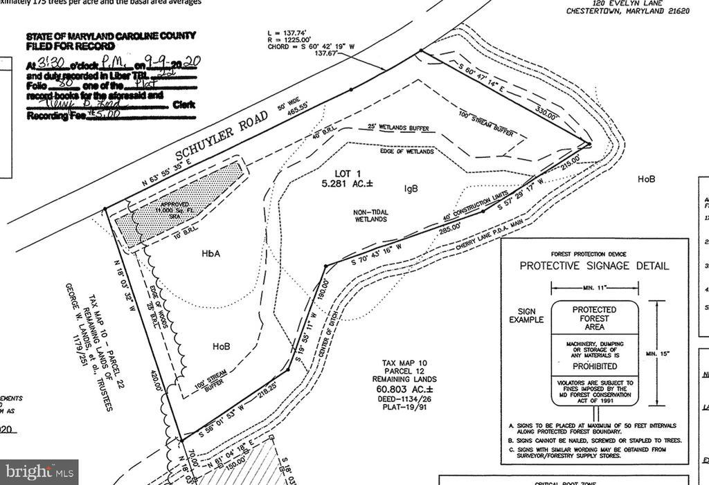
5.281 Acres Schulyer Rd, GOLDSBORO, MD – $169,900

  • $170k Price
  • 5.28 Acres
  • 28 DOM
  • $170k Price
  • 5.28 Acres
  • 28 DOM

5.281 Acres Schulyer Rd

Peaceful 5.281-Acre Wooded Homesite with Wildlife Pond Views. Discover the perfect blend of natural beauty and rural tranquility on this 5.281-acre perc-approved building lot, ready for your dream home. Nestled in a quiet country setting, this property offers a stunning overlook of a preserved wildlife pond, where geese, ducks, deer, and turkeys are frequent visitors—creating your own private nature retreat. The land features mature trees providing privacy and shade, along with a meandering stream running along the back of the property. With perc approval in place, bring your ideas and design your custom home or weekend getaway. Enjoy peaceful country living surrounded by nature, all while being within a short drive to nearby towns and conveniences.

Essential Information

  • MLS® #MDCM2006426
  • Price$169,900
  • Bathrooms0.00
  • Acres5.28
  • TypeLand
  • Sub-TypeLand
  • StatusActive

Community Information

  • Address5.281 Acres Schulyer Rd
  • CityGOLDSBORO
  • CountyCAROLINE-MD
  • StateMD
  • Zip Code21636

Exterior

  • Lot DescriptionTrees/Wooded, Stream/creek

School Information

  • DistrictCAROLINE COUNTY PUBLIC SCHOOLS

Additional Information

  • Date ListedOctober 15th, 2025
  • Days on Market28
  • ZoningAG
  • Short SaleYes

Listing Details

  • OfficeTaylor Properties
Please provide a valid email address.

© 2020 BRIGHT, All Rights Reserved. Information deemed reliable but not guaranteed. The data relating to real estate for sale on this website appears in part through the BRIGHT Internet Data Exchange program, a voluntary cooperative exchange of property listing data between licensed real estate brokerage firms in which Coldwell Banker Residential Realty participates, and is provided by BRIGHT through a licensing agreement. Real estate listings held by brokerage firms other than Coldwell Banker Residential Realty are marked with the IDX logo and detailed information about each listing includes the name of the listing broker.The information provided by this website is for the personal, non-commercial use of consumers and may not be used for any purpose other than to identify prospective properties consumers may be interested in purchasing. Some properties which appear for sale on this website may no longer be available because they are under contract, have Closed or are no longer being offered for sale. Some real estate firms do not participate in IDX and their listings do not appear on this website. Some properties listed with participating firms do not appear on this website at the request of the seller.

Listing information last updated on November 11th, 2025 at 1:00am CST.